Prince Road Storm Sewer Outlet Environmental Assessment

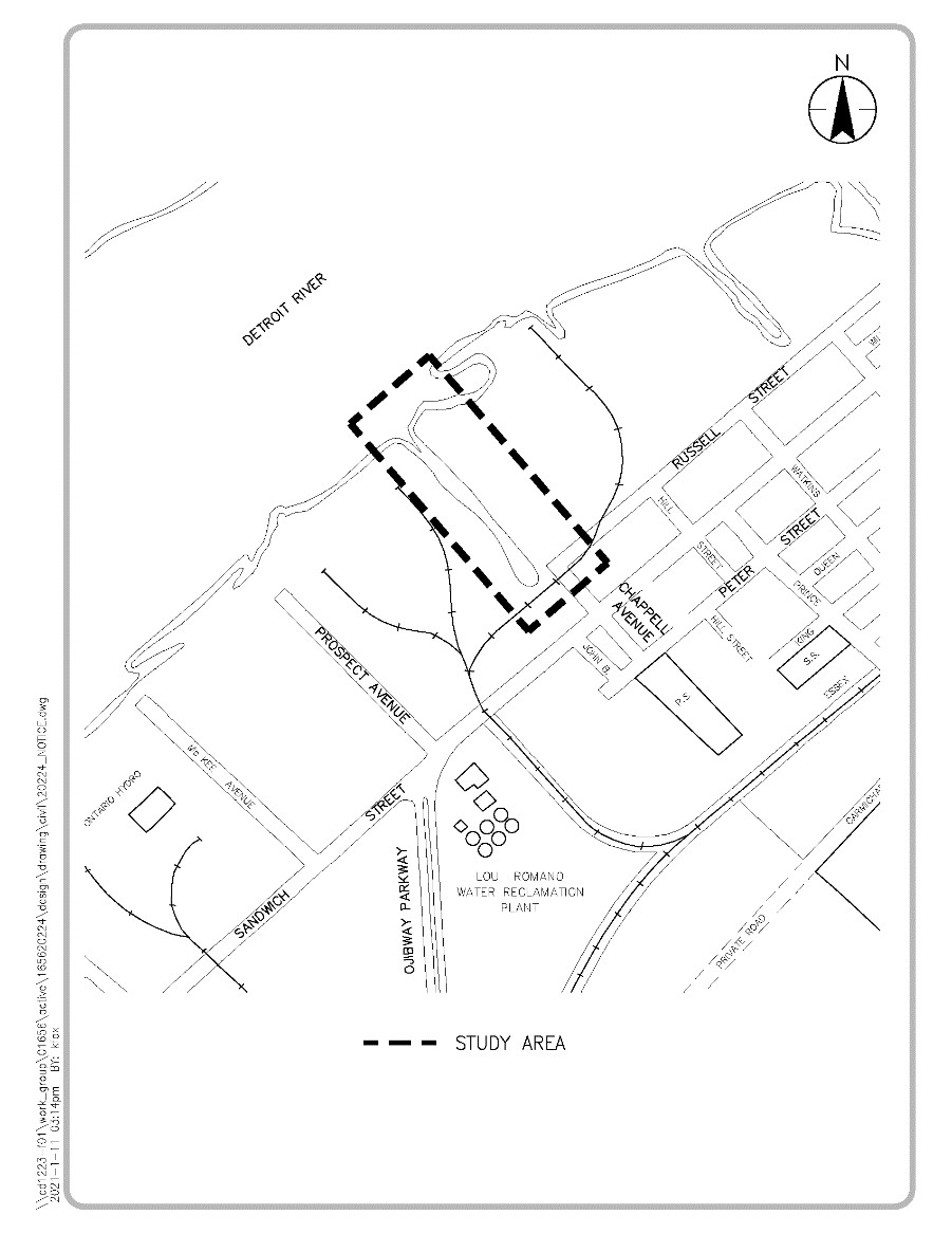
Study area map for Prince Road storm sewer outletSchedule C Municipal Class Environmental Assessment

(Phases 3 and 4)

The City of Windsor is initiating a Municipal Class Environmental Assessment (EA) study for the proposed storm sewer outlet at McKee Creek. The study area is defined to the west by the Detroit River, to the east by the west limit of the existing storm sewer along Chappell Avenue, and to the north and south on either side of McKee Creek by lands owned by Coco Paving Ltd. (see key map).

Phases 1 and 2 of the Class EA process are being documented as part of the Sewer & Coastal Flood Protection Master Plan (SCFPMP). The SCFPMP concludes that the preferred alternative solution for the Prince Road storm sewer outlet at Chappell Avenue is to outlet to McKee Creek. The purpose of this Class EA is to establish the preferred location and design of the outlet and the associated pumping station. This study will address Phases 3 and 4 of the Class EA process. An environmental study report will be prepared and made available for public review and comment.

The study is being conducted in accordance with the requirements of Schedule C projects as outlined in the Municipal Class EA document (2000, as amended in 2007, 2011 and 2015), which is approved under the Ontario Environmental Assessment Act.

Documents:

Notice of Study Commencement

Notice of Project Update

Project Update Materials

Environmental Study Report (ESR) - Report

ESR - Appendices

Notice of Study Completion

Comments:

If you are interested in participating and/or would like to be added to our mailing list, please contact a member of the study team below:

Ian Wilson, P. Eng.
City of Windsor
Engineering Department
519-255-6100 extension 6369
iwilson@citywindsor.ca

Clarence Jubenville, P. Eng.
Consultant Project Manager
Stantec Consulting Ltd.
519-966-2250
clarence.jubenville@stantec.com